- دکتر فتحی
- بازدید: 29845
روش خشک کردن آلو
اگر مقدار زیادی آلو دارید ایده آل است که آنها را خشک کنید. آلو خشک باعث اضافه شدن طعم به طیف گسترده ای از غذاها می شود.
- دکتر فتحی
- بازدید: 1883
بهترین بالش طبی – چگونه بهترین بالش را انتخاب کنیم؟
عوامل متعددی وجود دارد که بر کیفیت خواب شما در شب تاثیر می گذارد. یکی از این عوامل بالش شماست. انتخاب بالش اشتباه می تواند سبب سردرد و کشش گردن و شانه شود در نظر گرفتن زمان برای تعیین آنچه که بهترین بالش برای شما بر اساس عادت های خواب و نیازهای شخصی شما است به شما اطمینان می دهد که از خواب بیدار شوید و روز خود را شروع کنید.
- دکتر فتحی
- بازدید: 1761
دستور العمل سوپ لوبیا سفید کانلینی
سوپ لوبیای Cannellini یک سوپ غنی و مرسوم برای این فصل پاییز است. این دستورالعمل ریشه های عمیق را در سنت ایتالیایی دارد و برای همه طعم های چشمگیر آن، یک دستور العمل شگفت انگیز ساده است. این یکی از دلایلی است که چرا این سوپ غذای ایده آل گرم و تغذیه ای در طول فصل سرد است.
-
مرداد 12, 14:39 ب ظ
روش خشک کردن آلو
-
فروردين 29, 19:18 ب ظ
بهترین بالش طبی – چگونه بهترین بالش را انتخاب کنیم؟
-
آبان 15, 08:21 ق ظ
دستور العمل سوپ لوبیا سفید کانلینی
- دکتر فتحی
- بازدید: 1607
نحوه تهیه سوپ کدو تنبل
- دکتر فتحی
- بازدید: 12454
نحوه خلاص شدن از شر مارمولک ها: راه های طبیعی که واقعاً موثر است
- دکتر فتحی
- بازدید: 2286
چگونه مایکروویو را به طور طبیعی تمیز کرده و بوی آنرا حذف کنیم؟
- دکتر فتحی
- بازدید: 11968
غذاهای خطرناک برای سگ ها
- دکتر فتحی
- بازدید: 9292
بهترین راه ها برای ذخیره پیاز
- دکتر فتحی
- بازدید: 6802
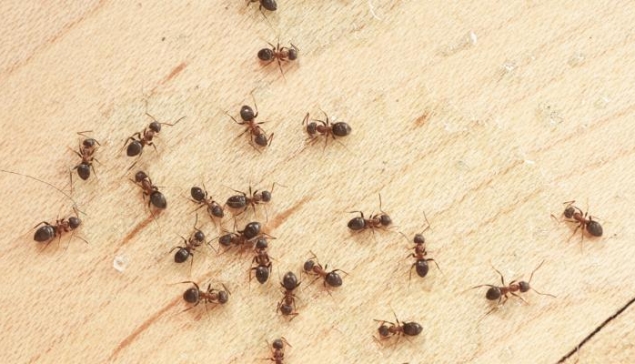
چگونه از مورچه ها خلاص شویم (7 راه طبیعی، غیر سمی و ارزان قیمت)
- دکتر فتحی
- بازدید: 1807
نکاتی برای جلوگیری از گسترش آنفلوآنزای در خانه
- دکتر فتحی
- بازدید: 2117
چگونه کفش و چکمه های چرمی را تمیز کنید؟
- دکتر فتحی
- بازدید: 4681
8 راه برای حذف بوی سیگار از خانه شما
- دکتر فتحی
- بازدید: 3197
چگونه می توان از شر سوسک ها به طور طبیعی و ارزان خلاص شویم؟
تمامي كالاها و خدمات سایت رژیم سلامتی، حسب مورد داراي مجوزهای لازم از مراجع مربوطه می باشند و فعاليتهای اين سايت تابع قوانين و مقررات جمهوری اسلامی ايران است.
